アイホーム株式会社

アイホーム株式会社

―地域密着30年の実績―
0567-28-7799
0567-28-7799

0567-28-7799
津島市 喜楽町(藤浪駅)住宅用地

津島市 喜楽町(藤浪駅)住宅用地

おすすめコメント

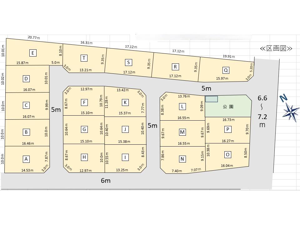
第1期販売/A~H、T区画
★販売価格 980~1180万円
★敷地面積:157.45~189.29㎡
★名鉄「藤浪」駅まで徒歩10分!
★建築条件なし・造成後渡し・駐車3台可能!

価格
980万円
最適用途
住宅用地
土地面積
157.45㎡
坪数
47.49坪
坪単価
20.63万円
交通
名鉄津島線 / 藤浪駅 徒歩9分 距離720m
名鉄尾西線 / 町方駅 徒歩5分 距離400m
所在地
愛知県津島市喜楽町
設備・サービス
プロパンガス、電気、上水道、側溝、個別浄化槽

周辺情報

アピールポイント

★名鉄「藤浪」駅まで徒歩10分!!
★建築条件なし・完成宅地後のお引渡し!!
★間口が10m以上のため、駐車場3台可能!!
★北小学校・藤浪中学校徒歩13分(約1040m)!!

物件情報

交通
名鉄津島線 / 藤浪駅 徒歩9分 距離720m
名鉄尾西線 / 町方駅 徒歩5分 距離400m
所在地
愛知県津島市喜楽町
物件種目
土地
価格
980万円
坪単価
20.63万円
その他一時金
-
備考
□上水道分担金・浄化槽申請費用等(約20万円)が別途かかります。
設備・サービス
プロパンガス、電気、上水道、側溝、個別浄化槽
土地面積
157.45㎡(公簿)
坪数
47.49坪
最適用途
住宅用地
私道負担面積
-
土地権利
所有権
都市計画
市街化区域
用途地域
第一種住居地域
地勢
高台
建ぺい率
60%
容積率
200%
接道状況
南 約5.0m 公道 接面 約10.0m
地目
宅地
角地
-
国土法届出
-
セットバック
-
開発許可等番号
7津島都計29-2号
法令制限等
-
条件等
-
現況
造成中
引渡し(可能時期/方法)
要相談 / 要相談
管理番号
A255
取引態様
売主
情報更新日
2025年10月09日